
ABANDONO ANIMAL
Poppi Já Foi Operada e Precisa da Sua Ajuda!
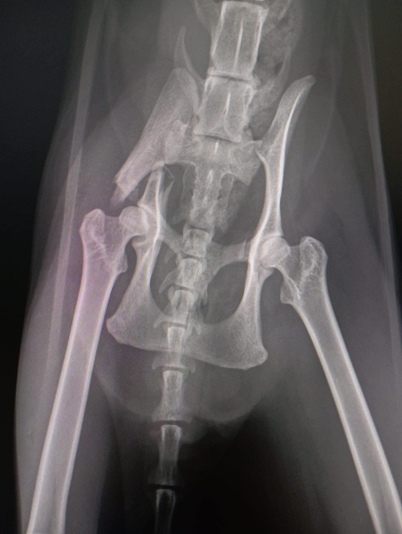
A nossa querida Poppi, uma gatinha resgatada após dois atropelamentos em Terroso, Póvoa de Varzim, já passou pela cirurgia que tanto necessitava! 🐾✨ A intervenção, realizada para corrigir fraturas graves no cotovelo e na anca, foi um sucesso, mas a jornada de recuperação apenas começou.
A História da Poppi
Encontrado no dia 26 de fevereiro, a Poppi foi imediatamente levada para o veterinário, onde exames revelaram ferimentos complexos:
Fratura do olécrano (cotovelo esquerdo) , resultante de um atropelamento recente.
Fratura do íleo (anca direita) , com cerca de 2 a 3 semanas, indicando um segundo atropelamento.
Possível lesão no carpo direito , que pode exigir uma panartrodese no futuro.
A cirurgia, orçada em 1.505,21€ , foi realizada com sucesso, mas os custos são avultados para a nossa associação. Precisamos urgentemente da sua ajuda para liquidar esta fatura e garantir que a Poppi continue a receber os cuidados necessários.
Como Ajudar?
Cada contributo, por menor que seja, faz toda a diferença! preencha o formulário abaixo:
Próximos Passos
Poppi permanece sob observação veterinária e será reavaliada na próxima segunda-feira. A fase de recuperação será crucial para que ela volte a ter uma vida sem dor. Juntos, podemos dar-lhe uma segunda oportunidade!
🙏 O seu apoio é vital . Não deixe que histórias como a da Poppi terminem em tragédia. Doe, partilhe e ajude-nos a salvar mais vidas!
